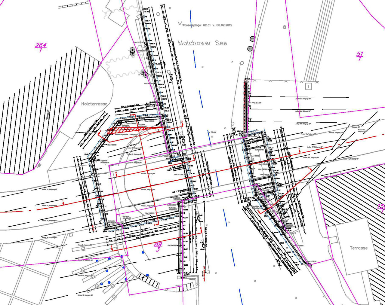
Ersatzneubau Drehbrücke Malchow/ TO Ufersicherung
- Auftraggeber
-
Stadt Malchow
- Leistungsumfang
-
Planung:
Objektplanung LPH 2 - 8 gem. HOAI, einschl. Genehmigungs- u. Fördermittelunterlagen,
Tragwerksplanung LPH 2 - 6 gem. HOAI - Wichtige Daten
-
132 m Uferbauwerk mit Schrägverankerung und freistehender Spundwand