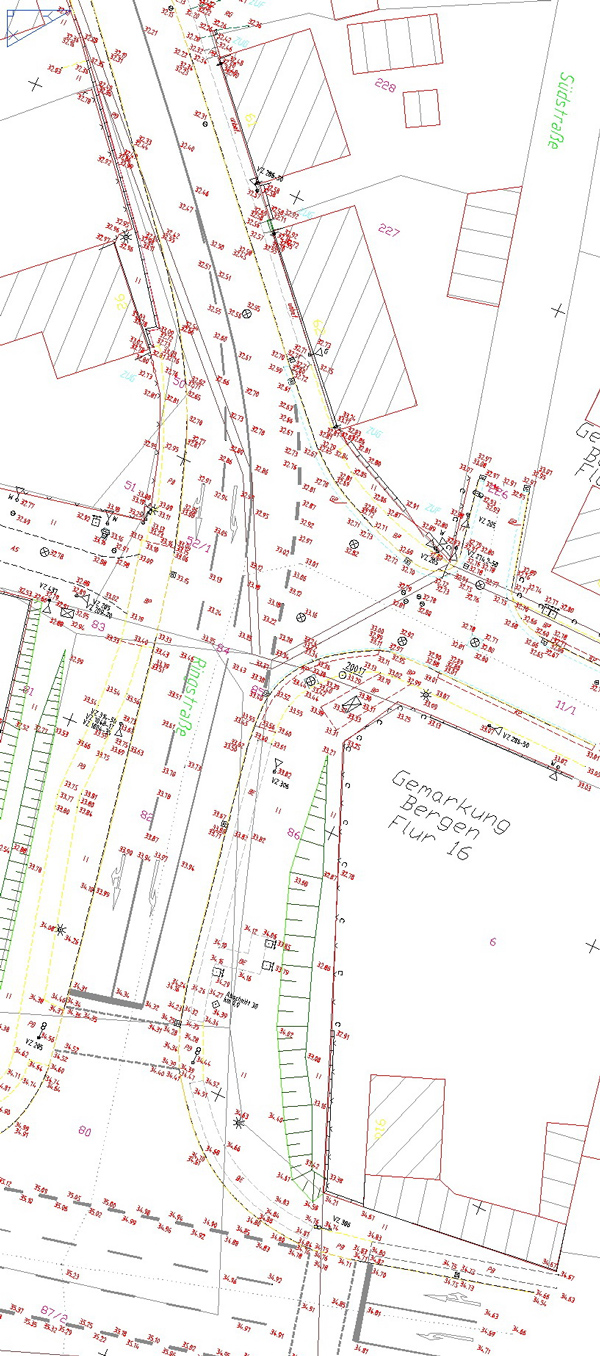
Ausbau der Ringstraße/ Gingster Chaussee Spange B196 – B96, Entwurfsvermessung


Auftraggeber

Stadt Bergen

Leistungsumfang

Entwurfsvermessung
Aufmaß der Ringstraße und Gingster Chaussee,
ca. 2,6 km innerorts,
Erstellung eines digitalen Geländemodelles